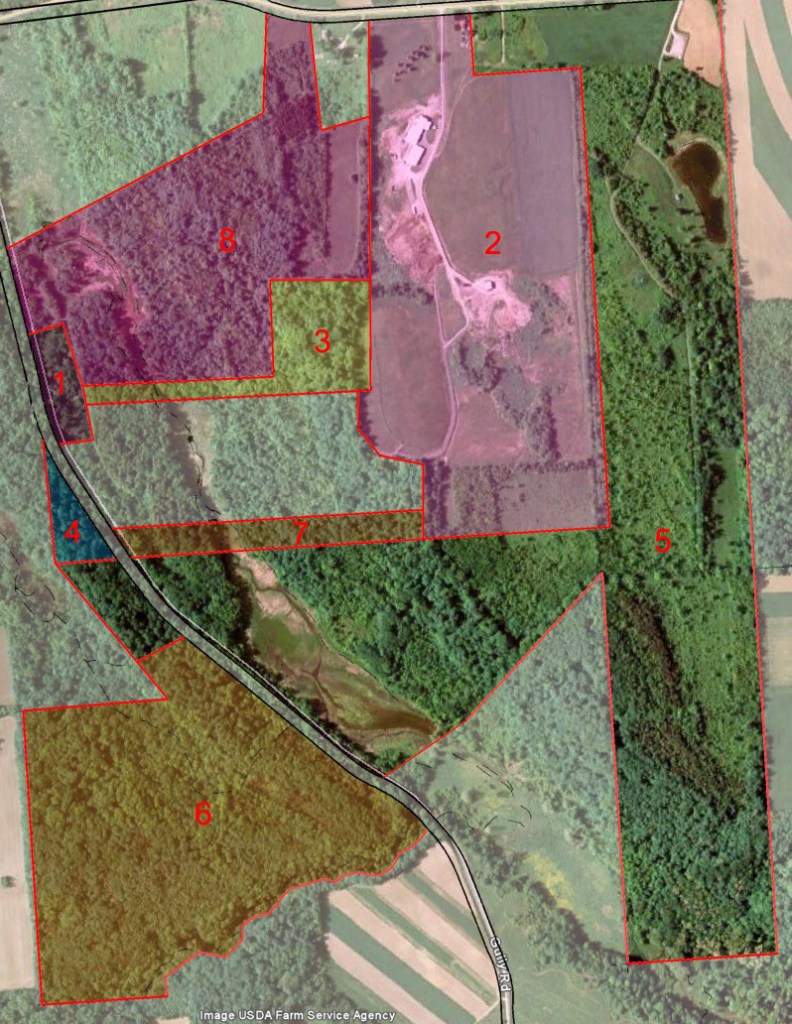
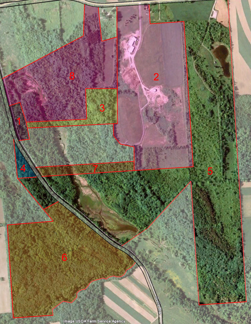
Town of Skaneateles tax map overlaid on 2009 Farm Service Agency satelite map, showing the various Skaneateles Conservation Area acquisitions:
1. Original Town Dump, 1930s – 1970s
2. Landfill purchased from U.S. Government in 1970s, now transfer station
3. Purchased from Fitzgerald Estate in 1989
4. Donated in memory of Ralph & Mary Bishop in 1998
5. Gift from U.S. Army in 2001
6. Guppy Farm purchased from Kathleen Evans in 2002
7. Purchase from Monica Pitman-Atkins in 2005
8. Michael O’Loughlin property acquired in 2008
Federal Farm aquisitions
